Las condiciones climáticas en Jamaica se mantienen inestables tras el paso de Melissa

Fotografía de una calle inundada debido al paso del huracán Melissa el 19 de octubre de 2025, en Kingston (Jamaica). El potente huracán Melissa tocó tierra en Jamaica con vientos máximos sostenidos cercanos a los 295 kilómetros por hora (185 millas), lluvias torrenciales y marejadas que amenazan con provocar inundaciones y daños catastróficos. EFE/Rudolph Brown

El director principal del Servicio Meteorológico de Jamaica, Evan Thompson, advirtió este miércoles que las condiciones climatológicas en el país continúan «inestables» tras el paso del huracán Melissa, mientras se aleja del territorio caribeño.

El huracán, de categoría 5, golpeó la isla el pasado martes con vientos catastróficos y lluvias torrenciales. El Centro Nacional de Huracanes reportó inundaciones espontáneas y una «marejada ciclónica», por lo que se instó a la población a guardar refugio a lo largo de la duración de la tormenta. EFE (I)

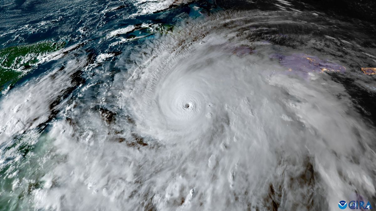
Vista del huracán Melissa, que se encuentra a unos 215 kilómetros al sureste de Kingston, la capital de Jamaica, y a 500 kilómetros al suroeste de Guantánamo, con vientos máximos sostenidos muy fuertes de 280 kilómetros por hora, según el último informe del Centro Nacional de Huracanes (NHC) de Estados Unidos a las 06:00 GMT. EFE/ CIRA

Más relacionadas